„Cimitirul românilor” din Lidzbark Warmiński – morminte ale soldaților români în Polonia (IV)
După studiile dedicate cimitirelor militare din Łambinowice, Tuchola și Czersk unde odihnesc mii de români care au suferit calvarul prizonieratului în lagărele germane în 1916-1919, continuăm călătoria în căutarea acestor pribegi în capătul nord-estic al Poloniei, la cimitirul din pădurea situată între orașul Lidzbark Warmiński și satul Markajmy.
Ne aflăm în „Anul omagial al pastoraţiei românilor din afara României” şi „Anul comemorativ al celor adormiţi în Domnul”. Acestea sunt cele două teme principale, stabilite de Sfântul Sinod al Bisericii Ortodoxe Române pentru a fi aprofundate prin slujbe, conferințe, expoziții, publicări de cărți și articole în anul 2021. Vizitarea locurilor din Europa, unde sunt înmormântați soldați români din cele două mari războaie ale secolului trecut, evidențiază un rol nou al Diasporei românești, iar întâlnirea cu eroii neamului, departe de Țară, certifică funcțiunea liturgică şi culturală a cimitirelor pentru românii stabiliți în statele vest-europene. După studiile dedicate cimitirelor militare din Łambinowice, Tuchola și Czersk unde odihnesc mii de români care au suferit calvarul prizonieratului în lagărele germane în 1916-1919, continuăm călătoria în căutarea acestor pribegi în capătul nord-estic al Poloniei, la cimitirul din pădurea situată între orașul Lidzbark Warmiński și satul Markajmy.
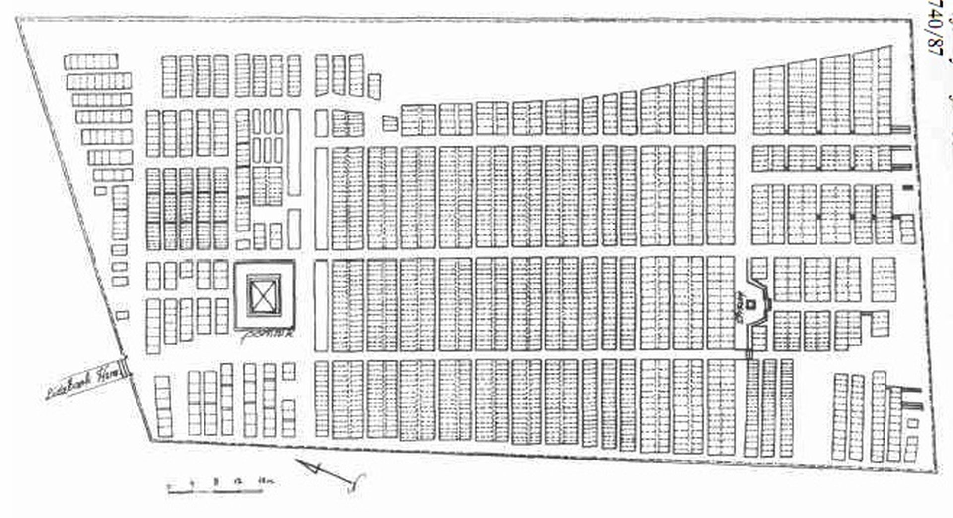
Cimitirul prizonierilor de război din apropierea orașului Lidzbark Warmiński (numit de prusaci, majoritari până în 1945, Heilsberg) e cunoscut de localnicii polonezi de azi drept „cimitirul românilor”, deși numărul celor 506 compatrioți ai noștri (potrivit actelor vremii), e depășit de patru ori de rușii care odihnesc aici. Cu toate acestea, titulatura este unică în Polonia, fiind motivată probabil de „exotismul” numelor românești într-o zonă intens disputată, de-a lungul istoriei, de lumea slavă și cea germanică. În ciuda deteriorării parțiale a pietrelor de mormânt, precum și a înscrierii pe acestea doar a numelor de familie ale prizonierilor decedați, necropola invadată de pădure destăinuie multe unui pelerin dornic să afle cât mai multe despre soarta celor 2753 de captivi care odihnesc aici de mai bine de un secol.
Despre prizonierii din lagărul Heilsberg
Lagărul de prizonieri din Heilsberg (situat pe un teren unde astăzi se află stadionul local din Lidzbark și o fermă privată) a fost, în timpul Primului Război Mondial, cea mai mare tabără de prizonieri situată în spațiul din jurisdicția Corpului I al Armatei imperiale germane (care cuprindea la începutul războiului întreaga Prusie Orientală). A fost înființat în toamna primului an de confruntări, ca urmare a victoriei forțelor de război germane împotriva Imperiului Rus, în bătălia de la Tannenberg (26-30 august 1914). O bună parte a celor închiși aici, potrivit Convenției de la Haga, au fost obligați să muncească în agricultură precum și în facilitățile industriale din Prusia Orientală, iar construcția de drumului către Bartenstein (azi Bartoszyce) se datorează tot lor. Această obligație a prizonierilor de a munci în folosul celor care i-au capturat se datora faptului că lagărul era destinat soldaților și gradaților de ranguri inferioare, ofițerii fiind trimiși în centre de detenție situate mai la apus, precum Bytow. Se estimează că aproximativ 15.000 de prizonieri au locuit, de-a lungul anilor ostilităților, în această tabără. Ei aparțineau armatelor țărilor Antantei: Imperiul Rus, România, Serbia, Italia, Franța și Marea Britanie. Pe lângă aceștia, exista și un număr însemnat de captivi din rândul civililor din teritorii ocupate de germani, condamnați la muncă silnică pentru diferite motive, precum belgieni sau ucraineni din Volânia, regiune de graniță a Imperiului Rus. Și unii refugiați de etnie germană din aceeași provincie țaristă și-au găsit adăpostul aici, începând cu toamna anului 1916.
Paza lagărului era asigurată de militari care depășiseră vârsta apților de luptă: comandantul lagărului era generalul-locotenent (în retragere) Friedrich Imme, iar gărzile erau rezerviști militari germani din Compania a II-a a Batalionului XXI de Infanterie („Landsturm”).
Spre deosebire de lagărele situate mai aproape de centru, nu s-au păstrat multe informații despre acest spațiu de detenție de la extremitatea estică a celui de-al Doilea Reich. Totuși unele date despre viața din spatele sârmelor ghimpate au rămas în documentele despre construcția de șosele și căi ferate unde au fost implicați prizonieri. Tabăra era prevăzută cu barăci din lemn parțial săpate în pământ (asemănătoare unor bordeie, ca și în lagărele de la Tuchel și Czersk), precum și cu un spital (lazaret).
Foametea, privarea de libertate, spațiul redus și condițiile precare de locuire, înrăutățite de frigul și umezeala pădurilor mazuriene, au hrănit epidemiile vremii prezente în toate lagărele, precum tuberculoza, holera și în special tifosul. Toate acestea au dus la moartea a 2753 de prizonieri: 2081 ruși (de fapt soldați ai Imperiului Rus, incluzând ucraineni, polonezi și de alte naționalități), 506 români, 51 de britanici, 45 belgieni, 43 francezi, 19 italieni și 8 sârbi, cărora li se adaugă numeroși refugiați germani. Aceștia, reprezentând statistic peste 18% din totalul deținuților (mult peste media generală a decesurilor) au fost înmormântați în cimitirul păstrat în parte până azi, pe un deal situat la nord-est de lagăr. Câteva dintre certificatele de deces se păstrează în registrul civil al orașului Lidzbark Warmiński. Numărul ridicat al deceselor, precum și modul efectuării înmormântărilor, în gropi comune de până la 7 soldați, cu înscrierea doar a numelor de familie (situație similară cu cea de la Tuchola și Czersk, de unde s-a păstrat însă arhiva detaliată a celor înmormântați), sunt de asemenea indicatori ai tratamentului dur la care au fost supuși prizonierii, despre care astăzi nu se vorbește atât de mult pe cât sunt tematizate istoriile celei de-a doua conflagrații mondiale.
Din păcate, în afară de numele de familie românești și de „renumele” cimitirului de aici, acela de „cimitir al românilor”, nu am avut acces la informații despre soarta soldaților noștri care au murit aici, acum mai bine de o sută de ani. Prin analogie cu tragicul destin al celor de la Czersk, Tuchola, Czarne și din alte părți ale Prusiei, se poate emite ipoteza că românii ajunși aici au fost luați prizonieri, în toamna anului 1916, în urma contraofensivei germano-austro-ungare care a dus la capturarea, în scurtă vreme, a peste o sută de mii de soldați și gradați în luptele fără succes în apărarea Dobrogei, Olteniei și Munteniei.
Despre cimitirul de război din Lidzbark Warmiński
Cimitirul deținuților din pădurea situată la est de Lidzbark este una dintre cele mai mari necropole din Primul Război Mondial, având o suprafață de 1,08 ha. Spațiul, de forma unui patrulater neregulat, se situează pe o suprafață ușor vălurită, la vremea inaugurării sale fiind defrișat și amenajat ca atare, pentru ca astăzi pădurea de pini și foioase să acopere întreg spațiul, în mare măsură. Deși a intrat în jurisdicția Poloniei abia în urma celui de-al Doilea Război Mondial (1045), acesta a beneficiat numai din anii ’80 de privilegiul monumentelor naționale poloneze, astfel că zeci de ani a zăcut în paragină.
Încă de la inaugurarea sa din 1914, cimitirul era prevăzut cu o intrare printr-o poartă impunătoare, deși din lemn, fiind amenajate trepte și alei pentru a permite accesul pe suprafața accidentată. Pe lângă movilele (mormintele comune) prevăzute cu pietre funerare se păstrează două mari monumente: o piramidă prevăzută cu vulturul bicefal țarist, dedicată soldaților ruși (pe care este notat, în germană și rusă: „Camarazilor de luptă din lagărul de prizonieri de război Heilsberg, 1914-1918”) și o cruce masivă din piatră, ridicată de o asociație britanică în amintirea conaționalilor care au pierit aici.
Mormintele (inițial fiind probabil vorba de gropi comune a 4-5 soldați de diferite naționalități, redimensionate către sfârșitul războiului pentru a cuprinde trupurile a până la 7 prizonieri) au fost prevăzute cu pietre funerare de forma unor cărămizi culcate direct pe sol (orizontal), care s-au deteriorat atât prin eroziune cât și prin creșterea de licheni și mușchi. Pe ele era notată expresia: „Aici odihnesc..”, urmată de naționalitatea defuncților, precum și (doar) de numele de familie al acestora, adesea fiind vorba de prizonieri din trei țări diferite care au fost înmormântați laolaltă. Mai târziu, probabil la doi ani de la începutul războiului, au început să fie folosite ca însemne funerare pietre dreptunghiulare mai mari, așezate vertical, prevăzute cu o latură ascuțită în partea superioară. Pe lângă inscripțiile menționate în cazul primelor pietre funerare, pe acestea din urmă mai sunt notate numerele decedaților (de exemplu: 383-388, indicând că în mormântul comun se află rămășițele pământești a șase deținuți, ceea ce ajută la identificare chiar atunci când – de pildă – o parte din piatra funerară s-a deteriorat și nu se mai cunosc toate numele). Fără îndoială, cele din urmă au păstrat mult mai bine identitatea celor înmormântați sub ele, fiind mai înalte și mai puțin supuse eroziunii, umezelii și creșterii vegetației. Ultimul prizonier înmormântat în cimitirul militar de aici a murit în iulie 1919.
În 1922, rămășițele a 12 dintre cei 51 de prizonieri britanici au fost mutate într-un cimitir din Berlin, celelalte rămânând mai departe la Heilsberg, datorită faptului că unii dintre ei au fost înmormântați în aceleași gropi cu prizonieri din alte grupuri, prin urmare nu se putea identifica apartenența națională a celor îngropați. Astfel, pentru cei 39 de soldați rămași, autoritățile britanice au ridicat pietre de mormânt simbolice, în partea rămasă nefolosită din sud-estul cimitirului (nu departe de crucea-monument britanică), acestea fiind recondiționate cel mai recent în 2014, cu ocazia centenarului Primului Război Mondial. O situație similară este cea a francezilor. Rămășițele lor au fost exhumate în perioada interbelică și îngropate în Necropola Națională a Prizonierilor de Război din Sarrebourg (Franța), deși câțiva dintre ei odihnesc până azi la Markajmy, din aceleași motive: imposibilitatea de a identifica pe francezi în gropile comune.
Pe lângă intemperiile vremii, la deteriorarea cimitirului au contribuit și acte de vandalism petrecute în anii ’70, astfel încât astăzi se păstrează intacte poate puțin peste două treimi dintre pietrele de mormânt. În urma acțiunilor de renovare amintite mai sus, în partea de est a necropolei au fost adunate într-un loc fragmentele pietrelor funerare deteriorate și care nu au mai putut fi așezate la locul lor original. În ceea ce privește mormintele prizonierilor români, la un moment dat, lângă unele pietre funerare a fost așezat câte un stâlp de piatră prevăzut cu o placă emailată, înfățișând tricolorul românesc precum și inscripția „1916-1918. Pentru Patrie, Neam și Rege” (modelul fiind identic celor de la Łambinowice), din care se păstrează azi foarte puține.
Tabelul de mai jos grupează numele soldaților români identificați pe pietrele funerare din cimitir, în urma vizitei efectuate de Protos. Athanasie Ulea și Ierom. Ioan Popoiu la 17 august 2021, ocazie cu care cei doi clerici au săvârșit și slujba parastasului. Tot cu acest prilej, lângă crucea-monument a soldaților britanici a fost găsită și o placă din lemn așezată pe un cadru metalic, însemnată cu drapelul național românesc însoțit de stemă, precum și cuvintele: „Eroi au fost, eroi sunt încă și-or fi în neamul românesc...” Glorie eternă! 01.12.2017 Lidzbark Warmiński” – un mic semn al faptului că românii înmormântați în acest colț al Europei nu au fost uitați de confrații lor.
Dintre cei 506 români înmormântați la Lidzbark, conform datelor oficiale, în tabel au fost înscriși aproape jumătate: 220 de rubrici indicând numele românești existente uneori în aceeași groapă comună, frecvent alături de prizonieri de alte naționalități. Adesea identitatea acestora a rămas imposibil de descifrat datorită faptului că pietrele funerare au suferit grade înalte de deteriorare. În partea a doua a tabelului au fost înscrise numele românilor de pe pietrele funerare mici (orizontale) utilizate probabil la începutul războiului, astăzi greu descifrabile. În cazul acestora din urmă, neexistând numere de identificare ale mormintelor, am menționat - în locul acestor cifre – numărul soldaților altor națiuni plasați în aceeași groapă comună, cu scopul de se putea clarifica suma totală a celor înmormântați împreună: români și ruși, britanici, belgieni ș.a.
|
|
Numele |
Mormântul comun |
|
01 |
Ba…. |
298-304 |
|
02 |
indescifrabil |
|
|
03 |
indescifrabil |
|
|
04 |
indescifrabil |
|
|
05 |
indescifrabil |
|
|
06 |
Pred… |
383-388 |
|
07 |
indescifrabil |
|
|
08 |
indescifrabil |
|
|
09 |
Predut |
413-419 |
|
10 |
Dima |
|
|
10 |
Cretu |
|
|
11 |
Geamanu |
|
|
12 |
Necunoscut |
|
|
13 |
Necunoscut |
|
|
14 |
Necunoscut |
|
|
15 |
Pietraru |
420-428 |
|
16 |
Guinea |
|
|
17 |
Nastase |
|
|
18 |
Cainaru |
461-466 |
|
19 |
Becu |
|
|
20 |
Radu |
|
|
21 |
Jon |
467-473 |
|
22 |
Nazaru |
|
|
23 |
Belcin |
|
|
24 |
…oica |
|
|
25 |
Macarescie |
|
|
26 |
Haidulescu |
474-480 |
|
27 |
Amza |
|
|
28 |
Chirila |
|
|
29 |
Gustere |
|
|
30 |
Dancea? |
487-492 |
|
31 |
Radu |
|
|
32 |
Badea? |
|
|
33 |
Belmada |
|
|
34 |
Ion |
514-519
|
|
35 |
Parpala |
|
|
36 |
Moraca |
|
|
37 |
Preda |
|
|
38 |
Rădulescu |
|
|
39 |
Catanescu |
520-524 |
|
40 |
Dina |
|
|
41 |
Cicirica |
indescifrabil |
|
42 |
Munteanu |
|
|
43 |
Mariu |
|
|
44 |
Stan |
|
|
45 |
Emache |
|
|
46 |
Stanoiu |
628-633 |
|
47 |
Brata |
|
|
48 |
Nicolae |
|
|
49 |
Dobre |
|
|
50 |
Dinu |
|
|
51 |
Teslau |
|
|
52 |
Stefan |
640-644 |
|
53 |
Avram |
|
|
54 |
Ivan |
|
|
55 |
Badea |
indescifrabil |
|
56 |
Plesca |
|
|
57 |
Matulescu |
|
|
58 |
…teranu |
|
|
59 |
Arde… |
|
|
60 |
Galat… |
673-678 |
|
61 |
…ostul |
|
|
62 |
Nichito |
|
|
63 |
Radu |
|
|
64 |
Nicolae |
|
|
65 |
Gheorghita |
679-784 |
|
66 |
Casiad |
|
|
67 |
Olveri… |
|
|
68 |
…nolache |
|
|
69 |
Paracanu |
|
|
70 |
Dolana |
702-706 |
|
71 |
Mihai |
|
|
72 |
Ianku |
733-738 |
|
73 |
Anghel |
|
|
74 |
Jimika |
|
|
75 |
Gaina |
|
|
76 |
Tarculete |
|
|
77 |
Niculae |
739-744 |
|
78 |
Tieraru |
|
|
79 |
Zamfir |
|
|
80 |
Vasilache |
|
|
81 |
Durbaca |
774-780 |
|
82 |
Cruceru |
|
|
83 |
Cojocaru |
|
|
84 |
Stoica |
|
|
85 |
Plesca |
|
|
86 |
Dau |
787-792 |
|
87 |
Radu |
|
|
88 |
Chiliban |
793-798 |
|
89 |
Catana |
|
|
90 |
Popa |
|
|
91 |
Racmann |
|
|
92 |
Șerban |
799-804 |
|
93 |
Defta |
|
|
94 |
Dumitru |
805-809
|
|
95 |
Radom |
|
|
96 |
Niculzea |
|
|
97 |
Mușat |
810-815 |
|
98 |
Jonescu |
822-826 |
|
99 |
Sleuta |
|
|
100 |
Cuicu |
|
|
101 |
Viseau |
834-840 |
|
102 |
Piele |
|
|
103 |
Balan |
|
|
104 |
Stoian |
|
|
105 |
Vasilescu |
|
|
106 |
Bitianu |
847-852 |
|
107 |
Blegu |
|
|
108 |
?eregău |
|
|
109 |
Jordachita |
|
|
110 |
Balasea |
882-886 |
|
111 |
Alexandru |
|
|
112 |
Rosiu |
887-893 |
|
113 |
Nicolae |
|
|
114 |
Puscasu |
|
|
115 |
Miroiu |
|
|
116 |
Posobescu |
|
|
117 |
Brugau |
901-906 |
|
118 |
Barbu |
|
|
119 |
Gavrila |
|
|
120 |
Gherghina |
907-912 |
|
121 |
Konstantin |
|
|
122 |
indescifrabil |
|
|
123 |
indescifrabil |
|
|
124 |
Olaru |
913-918
|
|
125 |
Tița |
|
|
126 |
Tănase |
|
|
127 |
Eftemie |
|
|
128 |
Stănică |
indescifrabil |
|
129 |
Badea |
|
|
130 |
Troca |
|
|
131 |
Negruță |
|
|
132 |
Ilinca |
919-924 |
|
133 |
Vasile |
|
|
134 |
Organianu |
943-947 |
|
135 |
Valeanu |
|
|
136 |
Baltung |
|
|
137 |
Lazar |
|
|
138 |
Sultanoiu |
|
|
139 |
Nuta |
948-954 |
|
140 |
Matei |
|
|
141 |
Enculeasu |
|
|
142 |
Fluturasi |
962-967 |
|
143 |
Mihai |
|
|
144 |
Suilin |
968-973 |
|
145 |
Crivineanu |
|
|
146 |
Gorga |
|
|
147 |
Jordache |
974-979 |
|
148 |
Gentea |
|
|
149 |
Lupu |
|
|
150 |
Michai |
|
|
151 |
Iorga |
|
|
152 |
Cezar |
980-985 |
|
153 |
Tudor |
indescifrabil |
|
154 |
Capezau |
|
|
155 |
Osca |
|
|
156 |
Jiplea |
|
|
157 |
Dumitru |
1004-1009 |
|
158 |
Gheorghe |
|
|
159 |
Camesoiu |
|
|
160 |
Parvu |
1017-1023 |
|
161 |
Bobarnac |
|
|
162 |
Ciudr |
|
|
163 |
Hozu |
|
|
164 |
Pultica |
1024-1029 |
|
165 |
Topor |
|
|
166 |
Sandu |
1030-1035 |
|
167 |
Cocioc |
1036-1041 |
|
168 |
Arsenie |
|
|
169 |
Arghela |
|
|
170 |
Barbu |
|
|
171 |
Radu |
1042-1047 |
|
172 |
Negru |
1066-1041 |
|
173 |
Mârzac |
|
|
174 |
Taranu |
1079-1085 |
|
175 |
Fugasiu |
|
|
176 |
Ennace |
1086-1091 |
|
177 |
Constantin |
|
|
178 |
Nikolai |
1321-1326 |
|
179 |
Ursache |
1426-1434 |
|
180 |
Georghin |
1595-1602 |
|
181 |
Palaghia |
1603-1610 |
|
182 |
Cochenete |
1611-1619 |
|
183 |
Tudor |
1629-1636 |
|
184 |
Lovin |
|
|
185 |
Vladia |
1661-1667 |
|
186 |
Caioaca |
1706-1714 |
|
187 |
Alexandr… |
1906-1915 |
|
188 |
Filin |
|
|
189 |
Matac |
2626-2629, 2631-2632 |
|
190 |
Ontscha |
2649-2653 |
|
191 |
Popecku (înscris ca rus) |
|
|
Pietre funerare plasate orizontal, fără numerotare (aflate cu precădere la intrarea în cimitir), extrem de erodate. În locul numerotării, am notat numărul de prizonieri (exceptând pe cei români, indicați nominal) și identitatea lor națională, pentru a se evidenția numărul decedaților din același mormânt comun. |
||
|
192 |
Anton |
piatră mică (1 engl., 3 ruși) |
|
193 |
Berita |
piatră mică (3 ruși) |
|
194 |
Lefter |
|
|
195 |
Konstantin |
piatră mică (4 ruși) |
|
196 |
Nicolae |
piatră mică (4 ruși) |
|
197 |
Joisan |
piatră mică (1 engl., 1 belg., 2 ruși) |
|
198 |
Bajeu |
piatră mică (3 ruși) |
|
199 |
Mucioiu |
|
|
200 |
Barbijacu |
piatră mică (1 rus, 2 belg.) |
|
201 |
Dicu |
piatră mică (5 ruși) |
|
202 |
Preda |
|
|
203 |
Peleanu |
piatră mică (4 ruși) |
|
204 |
Gavrila |
|
|
205 |
Matei? |
|
|
206 |
Tudor |
piatră mică (1 belg., 5 ruși) |
|
207 |
Tudor |
piatră mică (6 ruși) |
|
208 |
Serban |
piatră mică (4 ruși) |
|
209 |
Gheorghe |
|
|
210 |
Geantă |
piatră mică (1 engl., 5 ruși) |
|
211 |
Petranu |
piatră mică (4 ruși) |
|
212 |
Radu |
|
|
213 |
Jonescu |
piatră mică |
|
214 |
Nedelcu |
|
|
215 |
Senaru |
|
|
216 |
Radu |
piatră mică (5 ruși) |
|
217 |
Duca? |
piatră mică (3 ruși) |
|
218 |
Panaitescu |
piatră mică (2 ruși) |
|
219 |
indescifrabil |
|
|
220 |
indescifrabil |
|
Cultura română și Eminescu
Site dezvoltat de DOXOLOGIA MEDIA, Arhiepiscopia Iașilor | © doxologia.ro